Winter weather alerts issued for over 60 million as impactful snowstorm threatens Northeast post-Christmas
An impactful shot of snow and ice will blast through the Northeast set to dump snow threatening post-Christmas holiday travel at major airports and highways across the region.
First snow of La Niña winter blasts millions in mid-Atlantic, unleashing hazardous travel conditions
More than 16 million people are under Winter Weather Advisories in the mid-Atlantic, waking up to their first snow of the season in parts of Virginia and Maryland, which is creating slick travel conditions and delaying school openings across the region.
Travel nightmare unfolds as first Nor'easter of La Niña winter season slams East Coast with rain, ice and snow
A mix of moisture and cold air is expected to bring 1–3 inches of snow across Ohio, Pennsylvania, Upstate New York and much of New England, while middle New York, Vermont, New Hampshire and Maine are expected to see 5–8 inches.
Intense lake-effect snow unleashes treacherous Thanksgiving travel conditions as winter storms turn deadly
Lake-effect snow warnings are in effect across Wisconsin, Michigan, Ohio, Pennsylvania and western New York on Thanksgiving Day.
White Thanksgiving: Powerful snowstorm prompts blizzard warnings, dangerous whiteout conditions
Periods of whiteout and life-threatening driving conditions will be possible across Michigan's Upper Peninsula, as well as places downwind of Lakes Erie and Ontario in Ohio, western Pennsylvania and western New York, beginning Wednesday through Friday.
Tuesday storms: Another strong round of storms expected Tuesday afternoon
Storms could cause significant travel delays across Georgia on Tuesday, including at Atlanta’s airport, before clearing out overnight and giving way to a cool, clear Thanksgiving.
Two storms loom over busy Thanksgiving Week, potentially impacting millions of travelers
Two storms loom over next week's Thanksgiving holiday with the potential to cause delays during the busiest travel period of the year, when close to 82 million Americans are expected to take to the road, rail or sky.
7-year-old girl, her dad both die after getting swept into Pacific Ocean off California coast
A California family got swept into the water, resulting in a 5-year-old girl going missing, her dad dying and her mom in the hospital.
Flooding closes 3 lanes on I-75 North near airport
Flooding shutdown part of I-75 northbound in Clayton County on Saturday.
Storms turn to cold air this weekend in North Georgia
The FOX 5 Storm Team North Georgia will see late-night storms Saturday before the season’s coldest air arrives, bringing highs in the 40s and the first hard freeze early next week.
Hurricane Melissa death toll climbs after massive storm rips through Caribbean
Officials have reported deaths in multiple areas as Hurricane Melissa slammed parts of the Caribbean this week.
Anchorage shaken as 5.4 earthquake strikes southern Alaska
The 5.4 quake struck just after 9:30 a.m. Alaska Time and was centered in a remote coastal area about 110 miles south of Anchorage.
Watch Live: Hurricane Melissa heads for Bermuda after causing devastation in Caribbean
Hurricane Melissa continues its devastating path across the Atlantic with a dangerous storm surge forecast for Bermuda on Thursday.
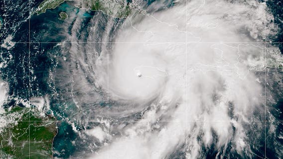
Watch Live: Hurricane Melissa slams into Jamaica with 185-mph winds
Hurricane Melissa is making landfall in Jamaica as a catastrophic Category 5 storm, the strongest to hit the island since recordkeeping began 174 years ago.
Broken waterline causes Forest Park road collapse
A six-inch broken waterline washed out part of Longleaf Drive in Forest Park.
Hurricane Melissa slams toward Jamaica as powerful Category 5 storm
Hurricane Melissa intensified to Category 5 strength Monday as it neared Jamaica. Forecasters said it would be the strongest hurricane to hit the island since record keeping began in 1851.
These are the 14 billion-dollar weather disasters of 2025, according to data
New data shows that 14 separate billion-dollar weather and climate disasters slammed the U.S. in just six months of 2025 – topping $100B in damages.
Strong winds prompt Delta go-around at world’s busiest airport
Delta Flight 515 aborted landing due to strong winds, then landed safely after a routine go-around.
Powerful storm rips through Arizona backyard
A powerful storm tore through parts of Arizona this week, leaving behind widespread damage in Tempe, Guadalupe, and Scottsdale.
1 killed, 51 rescued as western Alaska communities devastated by floods caused by Typhoon Halong's remnants
The remnants of Typhoon Halong have brought hurricane-force winds and ravaging storm surges to western Alaska. Authorities say one person is dead and two remain missing.



















