Kennesaw Police Officer heading to Louisiana to help hurricane victims
A Kennesaw Police officer is heading to Louisiana to help victims of Hurricane Ida with some of the most basic necessities.
A Kennesaw Police officer is heading to Louisiana to help victims of Hurricane Ida with some of the most basic necessities.
Georgians travel to gulf coast to aid Ida evacuees
The American Red Cross said 30 trained disaster volunteers and employees from Georgia make up the 580 Red Cross workers assisting the Hurricane Ida relief operation with more arriving in the coming weeks.
The American Red Cross said 30 trained disaster volunteers and employees from Georgia make up the 580 Red Cross workers assisting the Hurricane Ida relief operation with more arriving in the coming weeks.
WMO: Weather disasters have increased five-fold over past 5 decades
The World Meteorological Organization said the main driving factors associated with increased disasters over the past 50 years include climate change, more extreme weather and improved reporting.
The World Meteorological Organization said the main driving factors associated with increased disasters over the past 50 years include climate change, more extreme weather and improved reporting.
Video: Tornado caught on camera in Maryland
Tornado activity was caught on camera in Maryland on Wednesday afternoon.
Tornado activity was caught on camera in Maryland on Wednesday afternoon.
Hurricane Ida: Damage to cost insurers $18 billion, estimate says
Hurricane Ida, which made landfall as a Category 4 storm, is estimated to have caused nearly $18 billion in damage, a modeling company firm said Wednesday.
Hurricane Ida, which made landfall as a Category 4 storm, is estimated to have caused nearly $18 billion in damage, a modeling company firm said Wednesday.
Hurricane Ida: How evacuees in Georgia can get disaster relief, donations
If you or someone you know has been affected by Hurricane Ida or the subsequent tropical storm while taking shelter in Georgia, there are agencies connecting people in need to donations and disaster relief.
If you or someone you know has been affected by Hurricane Ida or the subsequent tropical storm while taking shelter in Georgia, there are agencies connecting people in need to donations and disaster relief.
Louisiana residents seek shelter from Hurricane Ida in Atlanta
Some Louisiana residents are seeking shelter from Hurricane Ida rushed to Atlanta.
Some Louisiana residents are seeking shelter from Hurricane Ida rushed to Atlanta.
Impact of Ida threatens Georgia restaurant seafood supply
Major interstates are closed because of debris from Hurricane Ida, threatening restaurants in metro Atlanta's ability to receive food with short shelf lives.
Major interstates are closed because of debris from Hurricane Ida, threatening restaurants in metro Atlanta's ability to receive food with short shelf lives.
TIMELINE: Remnants of Ida bringing flooding, possible tornadoes to Georgia
Most of Georgia will be under a risk for severe weather with a threat for spin-up tornadoes and damaging winds as the remnants of Hurricane Ida pass through the state.
Most of Georgia will be under a risk for severe weather with a threat for spin-up tornadoes and damaging winds as the remnants of Hurricane Ida pass through the state.
Ida aftermath: Louisiana fire crew pulls pony from fallen debris
Video shows fire crews helping to rescue a pony from beneath fallen debris in Covington, Louisiana, after Tropical Depression Ida wreaked havoc across the region.
Video shows fire crews helping to rescue a pony from beneath fallen debris in Covington, Louisiana, after Tropical Depression Ida wreaked havoc across the region.
How to help victims of Hurricane Ida
Hurricane Ida brought life-threatening floods and knocked out power to more than a million in Louisiana and Mississippi. Here’s how you can help.
Hurricane Ida brought life-threatening floods and knocked out power to more than a million in Louisiana and Mississippi. Here’s how you can help.
Ida aftermath forces Louisiana hospitals to evacuate patients
Louisiana hospitals in Hurricane Ida's path have been forced to evacuate dozens of patients after the storm tore away parts of their roofs, sent water leaking inside and left facilities relying on generator power.
Louisiana hospitals in Hurricane Ida's path have been forced to evacuate dozens of patients after the storm tore away parts of their roofs, sent water leaking inside and left facilities relying on generator power.
United Cajun Navy assists with Hurricane Ida rescue efforts in Louisiana
“This is going to be a long recovery for the state,“ Todd Terrell, president of the United Cajun Navy, said.
“This is going to be a long recovery for the state,“ Todd Terrell, president of the United Cajun Navy, said.
Ida: Rescues underway after hurricane brings flooding, 'catastrophic' damage to power grid
Ida weakened to a tropical storm early Monday as it continued through Louisiana and Mississippi, bringing damaging winds and flash flooding.
Ida weakened to a tropical storm early Monday as it continued through Louisiana and Mississippi, bringing damaging winds and flash flooding.
Hurricane Ida brings 'nightmare scenario' for gas prices
Hurricane Ida could create a "nightmare" scenario for national gas prices, according to a market analyst.
Hurricane Ida could create a "nightmare" scenario for national gas prices, according to a market analyst.
'Untold damage': Videos show Ida's trail of destruction across Louisiana
Ida continued to make its way through the southern U.S. on Monday after making landfall as a hurricane and leaving a trail of destruction in its path.
Ida continued to make its way through the southern U.S. on Monday after making landfall as a hurricane and leaving a trail of destruction in its path.
Metro Atlanta woman visiting New Orleans, forced to shelter in place
A Decatur resident arrived in New Orleans on Friday, but she is now forced to shelter in place as Hurricane Ida impacted the area.
A Decatur resident arrived in New Orleans on Friday, but she is now forced to shelter in place as Hurricane Ida impacted the area.
Hurricane Ida down to Category 3, New Orleans loses power
City government says power knocked out to all of New Orleans as Hurricane Ida pummels area.
City government says power knocked out to all of New Orleans as Hurricane Ida pummels area.
Timelapse video shows Hurricane Ida flooding Louisiana roads in under an hour
A Louisiana fire station captured surveillance video of surrounding roads being submerged as Hurricane Ida roared across the state.
A Louisiana fire station captured surveillance video of surrounding roads being submerged as Hurricane Ida roared across the state.
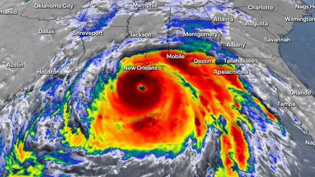
Hurricane Ida hits Louisiana on anniversary of Hurricane Katrina
Hurricane Ida made landfall Sunday, 16 years after Katrina hit the state costing more than a thousand lives and billions of dollars in damages.
Hurricane Ida made landfall Sunday, 16 years after Katrina hit the state costing more than a thousand lives and billions of dollars in damages.



















