Freak storm dumps giant hail on Australia
New South Wales emergency services launched a “large-scale multi-agency response” after a supercell storm hit parts of the state’s North Coast on October 20.
New South Wales emergency services launched a “large-scale multi-agency response” after a supercell storm hit parts of the state’s North Coast on October 20.
Fascinating 'bomb cyclone' to put on show out in Pacific Ocean
A system in the western Pacific Ocean that was once Tropical Storm Namtheun last week is now expected to put on a quite a show as its journey across the ocean nears the U.S. West Coast and it turns into what's known as a "bomb cyclone."
A system in the western Pacific Ocean that was once Tropical Storm Namtheun last week is now expected to put on a quite a show as its journey across the ocean nears the U.S. West Coast and it turns into what's known as a "bomb cyclone."
‘Magnificent yet terrifying’: Waterspout twirls over Lake Erie
A towering waterspout twirled in Lake Erie off Cleveland, Ohio, on October 17.
A towering waterspout twirled in Lake Erie off Cleveland, Ohio, on October 17.
Flood risk threatens 25% of critical US infrastructure, research shows
Flooding isn’t just a threat to our roads. A new study conducted by First Street Foundation found it threatens our police stations, fire stations, hospitals and water treatment facilities.
Flooding isn’t just a threat to our roads. A new study conducted by First Street Foundation found it threatens our police stations, fire stations, hospitals and water treatment facilities.
Pamela moves inland after slamming Mexico's Pacific coast as hurricane
Pamela continued moving inland after making landfall on Mexico’s Pacific coast near the resort city of Mazatlan.
Pamela continued moving inland after making landfall on Mexico’s Pacific coast near the resort city of Mazatlan.
Video: Hail shatters Oklahoma driver’s windshield
Jake Nea was chasing storms in Roosevelt Oklahoma when his windshield was shattered by hail.
Jake Nea was chasing storms in Roosevelt Oklahoma when his windshield was shattered by hail.
Tornadoes hit Oklahoma as severe weather sweeps across Central US
Multiple reported tornadoes caused damage in Oklahoma late Sunday, as severe weather also swept through parts of Arkansas, Kansas, Missouri and Texas.
Multiple reported tornadoes caused damage in Oklahoma late Sunday, as severe weather also swept through parts of Arkansas, Kansas, Missouri and Texas.
Heavy rain in North Carolina floods mountain areas, fills massive sinkhole
Heavy rainfall in North Carolina flooded parts of the state this week, including a massive sinkhole in the city of Morganton.
Heavy rainfall in North Carolina flooded parts of the state this week, including a massive sinkhole in the city of Morganton.
Alabama flash flooding kills 4, swamps roadways, officials say
The deaths of four people were blamed on Alabama flooding, officials said. Flash flood warnings and watches were issued Thursday for much of the state.
The deaths of four people were blamed on Alabama flooding, officials said. Flash flood warnings and watches were issued Thursday for much of the state.
Marietta woman has second sinkhole that grows with every rainy day
All the rain we've had, has caused several sinkholes to appear across metro Atlanta. The sinkhole suddenly appeared in Marian Tiller-Chancellor's yard about three weeks ago. Thanks to all the wet weather we've seen, there's now another smaller one right next to it that seems to be growing.
All the rain we've had, has caused several sinkholes to appear across metro Atlanta. The sinkhole suddenly appeared in Marian Tiller-Chancellor's yard about three weeks ago. Thanks to all the wet weather we've seen, there's now another smaller one right next to it that seems to be growing.
Northwest Georgia, Eastern Alabama under Tornado Watch through Wednesday evening
A Tornado Watch is now in effect for portions of northwestern Georgia and eastern Alabama until 11 p.m. Wednesday.
A Tornado Watch is now in effect for portions of northwestern Georgia and eastern Alabama until 11 p.m. Wednesday.
Ocean drone captures video from inside hurricane for 1st time
The seafaring drone is braving Hurricane Sam in the open ocean, where it can gather and collect real-time observations.
The seafaring drone is braving Hurricane Sam in the open ocean, where it can gather and collect real-time observations.
Hurricane Sam: Category 4 storm likely to bring rough surf to East Coast
Sam, still a Category 4 hurricane, is set to avoid any direct impact to the U.S. but is expected to bring big waves to the East Coast by the weekend.
Sam, still a Category 4 hurricane, is set to avoid any direct impact to the U.S. but is expected to bring big waves to the East Coast by the weekend.
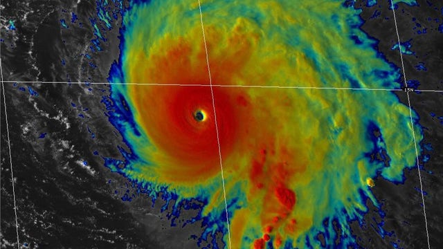
Hurricane Sam sustains Category 4 storm status over Atlantic
Sam maintained its powerful Category 4 hurricane status into Tuesday afternoon with maximum sustained winds of 130 mph, according to the National Hurricane Center.
Sam maintained its powerful Category 4 hurricane status into Tuesday afternoon with maximum sustained winds of 130 mph, according to the National Hurricane Center.
Sam downgraded to Category 3 hurricane in Atlantic
Hurricane Sam remained a powerful Category 3 storm in the Atlantic Ocean on Monday, but was centered well offshore from land.
Hurricane Sam remained a powerful Category 3 storm in the Atlantic Ocean on Monday, but was centered well offshore from land.
Hurricane Sam, a Category 4 storm, could fluctuate in strength this week
Hurricane Sam is a Category 4 storm, but forecasters say the system could fluctuate in strength over the next day or so.
Hurricane Sam is a Category 4 storm, but forecasters say the system could fluctuate in strength over the next day or so.
Hurricane Sam now a Category 4 storm; Teresa dwindling
Far from land, Hurricane Sam strengthened into a Category 4 hurricane in the Atlantic Ocean on Saturday.
Far from land, Hurricane Sam strengthened into a Category 4 hurricane in the Atlantic Ocean on Saturday.
Huge sinkhole takes up most of Marietta yard
The rainy days we've had this month have caused a number of sinkholes in metro Atlanta. One woman in Marietta has a hole so big it takes up most of her yard.
The rainy days we've had this month have caused a number of sinkholes in metro Atlanta. One woman in Marietta has a hole so big it takes up most of her yard.
White House unveils plan to combat ‘silent killer’ extreme heat
Under a plan announced Monday, the U.S. Departments of Labor and of Health and Human Services as well as other federal agencies are launching actions intended to reduce heat-related illness and protect public health.
Under a plan announced Monday, the U.S. Departments of Labor and of Health and Human Services as well as other federal agencies are launching actions intended to reduce heat-related illness and protect public health.
Nicholas prompts flash flood watches across central Gulf Coast as storm lingers
Nicholas became a post-tropical cyclone on Thursday, hovering over the central Gulf Coast and bringing the threat of heavy rain and flooding.
Nicholas became a post-tropical cyclone on Thursday, hovering over the central Gulf Coast and bringing the threat of heavy rain and flooding.



















