Amazon opens Disaster Relief Hub to distribute supplies faster
Amazon just opened a Disaster Relief Hub of supplies to be able to respond to disasters even quicker.
Biden gets hurricane season briefing at FEMA, doubles funding for extreme weather
President Joe Biden visited FEMA headquarters to receive a briefing on the 2021 hurricane season and preparedness efforts. He also announced plans to increase funding to better prepare for extreme weather.
Subtropical storm Ana forms near Bermuda; first named system of 2021
Subtropical storm Ana formed in the Atlantic Ocean early Saturday, according to the National Hurricane Center.
NOAA predicts active hurricane season as forecasters eye 2 Atlantic disturbances
Forecasters at NOAA’s Climate Prediction Center announced their 2021 hurricane season outlook, which suggests the United States should brace for another active season. Meanwhile, forecasters were watching two disturbances in the Atlantic.
NOAA expects above-average hurricane season in 2021
The 2021 hurricane season will be another busy one, according to forecasters at the National Oceanic and Atmospheric Administration, but probably not quite as busy as last year’s record-shattering season.
‘Average’ Atlantic hurricane season will bring more storms, 2021 no exception
After 2020’s record-breaking hurricane season in the Atlantic Ocean, it would be nice to catch a weather break in 2021 — but hurricane activity is showing no signs of slowing down.
WMO retires 4 names, Greek alphabet from Atlantic tropical cyclone list after active hurricane season
Atlantic tropical cyclone name lists repeat every six years unless a storm is so deadly or costly that its name is retired from future lists.
Humans are likely cause of shift in Atlantic hurricane cycles, climate study suggests
The new study found that humans — not nature — are likely the primary cause of changes in Atlantic hurricane patterns.
'Space hurricane' seen in Earth's upper atmosphere for first time
For the first time in history, astronomers have detected what they've deemed a "space hurricane" in Earth's upper atmosphere.
2021 will likely be another active Atlantic hurricane season, new outlook predicts
The first preliminary outlook for the 2021 Atlantic hurricane season reveals that 2021 is likely to be another active year.
2020 hurricane season, the most active on record, comes to an end
A record-breaking 2020 Atlantic hurricane season officially comes to an end on Nov. 30, and it was one of the history books. However, it's important to note tropical storms could continue to develop past Monday, reports NOAA.
Canton police, citizens help hurricane victims in Central America
Canton police officers spent the weekend before Thanksgiving hustling to collect clothing, shoes, blankets, pillows, and nonperishable food for the survivors in hurricane-ravaged sections of Honduras and Nicaragua. Within two days, Canton residents and businesses donated enough items to fill a 20-foot U-Haul truck.
Mysterious shipwreck that may date back to 1800s emerges on Florida beach after Tropical Storm Eta
A mysterious shipwreck that may date back to the 1800s has emerged from the sands of a northern Florida beach.
2020 Hurricane Season breaks numerous records
This year's hurricane season not only surpassed the forecast, it shattered multiple records.
Iota makes landfall; Nicaragua struck by 2nd hurricane in 2 weeks
Hurricane Iota has roared ashore as a dangerous Category 4 storm along almost exactly the same stretch of Nicaragua’s Caribbean coast that was devastated by an equally powerful Hurricane Eta 13 days earlier.
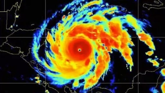
Hurricane Iota reaches Category 5 strength as it moves toward Central America
Hurricane Iota is now a dangerous Category 5 storm that is likely to bring catastrophic damage to the same part of Central America already battered this month by powerful Hurricane Eta.
Tropical Storm Iota forms in Caribbean
The record-breaking 2020 hurricane season continues, as Tropical Storm Iota has formed in the Caribbean.
Eta moves offshore after bringing heavy rain to Florida, North Carolina
Some parts of the Carolinas saw three to seven inches of rainfall by Thursday afternoon.
Tropical Storm Eta headed for landfall on Florida's west coast
Eta has weakened to a tropical storm just hours after regaining hurricane strength as Florida braces for a second hit from the storm.
Family still displaced after Tropical Storm Zeta damages home
Valerie Smith's six children were asleep in different parts of their home off Campbellton Road when Tropical Storm Zeta swept through metro Atlanta in late October. The huge tree that crushed a corner of the roof is still lodged into the living room downstairs and bedroom upstairs where her 11-year-old daughter became entrapped.



















