Agatha fizzles over Mexico but remnants pose risk of flash floods, mudslides
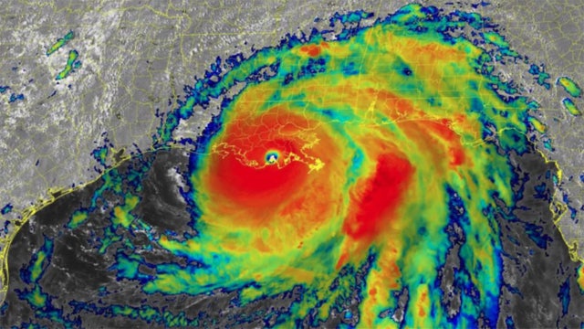
Agatha was the strongest hurricane on record to hit the Pacific coast of Mexico in May, the NHC said.
Agatha was the strongest hurricane on record to hit the Pacific coast of Mexico in May, the NHC said.
Mexico tourist zone sees 1st hurricane in Pacific
Ominous grey skies and blowing sand cleared beaches in the popular destinations of Puerto Escondido, Puerto Angel and Huatulco.
Ominous grey skies and blowing sand cleared beaches in the popular destinations of Puerto Escondido, Puerto Angel and Huatulco.
Warnings for critical wildfire conditions issued across US Southwest
Red flag warnings of critical fire conditions were issued by the National Weather Service in eight states.
Red flag warnings of critical fire conditions were issued by the National Weather Service in eight states.
North Georgia Severe Weather: Possible heavy rain, damaging winds as storm system moves through Thursday
A storm system passing through Georgia Thursday afternoon will bring waves of heavy rain and gusty severe storms across the state.
A storm system passing through Georgia Thursday afternoon will bring waves of heavy rain and gusty severe storms across the state.
Nearly 100 record highs set to fall this weekend in Northeast
To give an idea of how rare it is to have Heat Advisories issued in May in the Northeast, the only NWS office in the region to issue this alert in May since 2006 is Philadelphia/Mt. Holly -- and that was more than 10 years ago
To give an idea of how rare it is to have Heat Advisories issued in May in the Northeast, the only NWS office in the region to issue this alert in May since 2006 is Philadelphia/Mt. Holly -- and that was more than 10 years ago
Gaylord tornado: 2 dead after police find another victim overnight in northern Michigan city
Michigan State Police said the Gaylord tornado that touched down Friday killed two people. The second victim was found in a home overnight.
Michigan State Police said the Gaylord tornado that touched down Friday killed two people. The second victim was found in a home overnight.
1 killed, 40 injured from Gaylord tornado in northern Michigan
Munson Healthcare spokesman Brian Lawson said Friday that he had no details about the person who was killed or the conditions of those who were hurt by the tornado that rushed through Gaylord, a city of about 4,200 roughly 230 miles northwest of Detroit at around 3:45 p.m.
Munson Healthcare spokesman Brian Lawson said Friday that he had no details about the person who was killed or the conditions of those who were hurt by the tornado that rushed through Gaylord, a city of about 4,200 roughly 230 miles northwest of Detroit at around 3:45 p.m.
Lightning kills cow ‘on the spot,’ prompting warning from farmer
“We are always saddened at a loss like this, but realize that events like this happen in nature,“ an Alabama farmer said.
“We are always saddened at a loss like this, but realize that events like this happen in nature,“ an Alabama farmer said.
16-year-old who drove through Texas tornado in red pickup truck joins 'Click It or Ticket' campaign
Riley Leon was driving his pickup truck home in March 2022 when he found himself in the middle of a tornado. Now, he is helping TxDOT remind every Texan to buckle up.
Riley Leon was driving his pickup truck home in March 2022 when he found himself in the middle of a tornado. Now, he is helping TxDOT remind every Texan to buckle up.
Georgia weather: Cold front could bring gusty storms
Since Sunday morning, the threat of severe weather in areas east and south of Atlanta on Monday afternoon has decreased.
Since Sunday morning, the threat of severe weather in areas east and south of Atlanta on Monday afternoon has decreased.
National Weather Service explains why severe weather threat didn't materialize
The author of a National Weather Service thread on Twitter has a sense of humor about a recent forecast “bust.”
The author of a National Weather Service thread on Twitter has a sense of humor about a recent forecast “bust.”
Lightning destroys toilet at Oklahoma apartment, fire department reports
“The fan was destroyed and the toilet bowl was severely damaged,” Okmulgee’s Fire Chief Dewayne Hurt told FOX TV Stations.
“The fan was destroyed and the toilet bowl was severely damaged,” Okmulgee’s Fire Chief Dewayne Hurt told FOX TV Stations.
Wind advisory continues through late Friday evening
The chance for severe storms continue to diminish heading into the evening hours on Friday.
The chance for severe storms continue to diminish heading into the evening hours on Friday.
3 Univ. of Oklahoma meteorology students killed in crash after storm chasing in Kansas
First responders said the students were pinned in the car for more than five hours before rescues were able to remove them from the mangled mess.
First responders said the students were pinned in the car for more than five hours before rescues were able to remove them from the mangled mess.
'It's devastating': Significant damage reported after tornadoes move through Kansas
Only minor injuries have been reported at this time
Only minor injuries have been reported at this time
Beware the 'I' storm: It has more retirees than any other letter used for Atlantic hurricane names
Tweleve 'I' storms have been retired in the Atlantic – 10 of them since 2001.
Tweleve 'I' storms have been retired in the Atlantic – 10 of them since 2001.
Federal investigators order Amazon to review severe weather procedures after workers killed during tornado
The company said it will hold additional emergency preparedness drills and consider safety recommendations to improve safety.
The company said it will hold additional emergency preparedness drills and consider safety recommendations to improve safety.
Georgia tornado strongest in US this year with 185 mph winds, NWS says
The National Weather Service estimates that a tornado that hit Bryan County, Georgia, had winds of 185 mph (300 kph), making it the strongest twister in the United States so far this year.
The National Weather Service estimates that a tornado that hit Bryan County, Georgia, had winds of 185 mph (300 kph), making it the strongest twister in the United States so far this year.
‘We’re just trusting God to help us’: Pastor of church destroyed by tornado pushes ahead with Easter services
Amongst the rubble is the site of the Victory Baptist Church, which is essentially now nothing more than a concrete slab.
Amongst the rubble is the site of the Victory Baptist Church, which is essentially now nothing more than a concrete slab.
Storm fatigue: Small Mississippi town has seen more tornado warnings this year than anywhere else in America
No place has had to defend against tornados as much as Mississippi this year. There have already been 87 tornado reports in the state -- more than Texas despite being 1/6th the size,
No place has had to defend against tornados as much as Mississippi this year. There have already been 87 tornado reports in the state -- more than Texas despite being 1/6th the size,



















